工事情報
工事概要
| 工事名 | 令和7年度 上山田地区 上山田中央公園工区 配水管布設替工事 |
| 発注者 | 長野県企業局上田水道管理事務所 |
| 工期 | 令和8年2月19日 ~ 令和8年8月17日 |
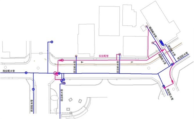
| 工事概要 | 配水管布設替工 HPPEφ150 L = 53.5m / HPPTφ75 L = 6.1m / HPPTφ50 L = 1.7m 給水装置変更 N = 5箇所 |
| 工事進捗 | 随時更新いたします。 |
工事資料

工事個所

①本工事を行う前に、仮設管の設置を行う。(3月下旬頃)

②仮設管へ水流を迂回して、仕切弁にて水を遮断し本管の交換作業を行う。(4月上旬~中旬)

③水道管交換後に、水流を新しい管に切り替えて、仮設管の撤去を行う。
④水道管交換工事完了してから3ケ月後に、舗装の本復旧を行う。
(7月下旬)
この工事は「伝わる工事標示板」の実施に取り組んでいます。
工事標示板は多くの方の目に触れる重要なツールです。よりわかりやすい標示内容へ改善することで、公共事業・建設業の効果的な発信につなげるとともに、地域の皆様の理解と協力を一層深めることを目的としています。


・配水管の布設替工事であったが、目的や管の種類を表記して工事内容を一般の方にわかるように工夫しました。
・長野県企業局の発注工事だったため、長野県企業局のPRキャラクターの「水望メグ」を掲載いたしました。
